Get new listings emailed daily! JOIN SIGN IN
Scott Mathews
REALTOR®
(843) 222-7082
Facebook Icon YouTube Icon Instagram Icon Realtor.com Icon Zillow Icon Twitter Icon VCard Icon 
Refine Search

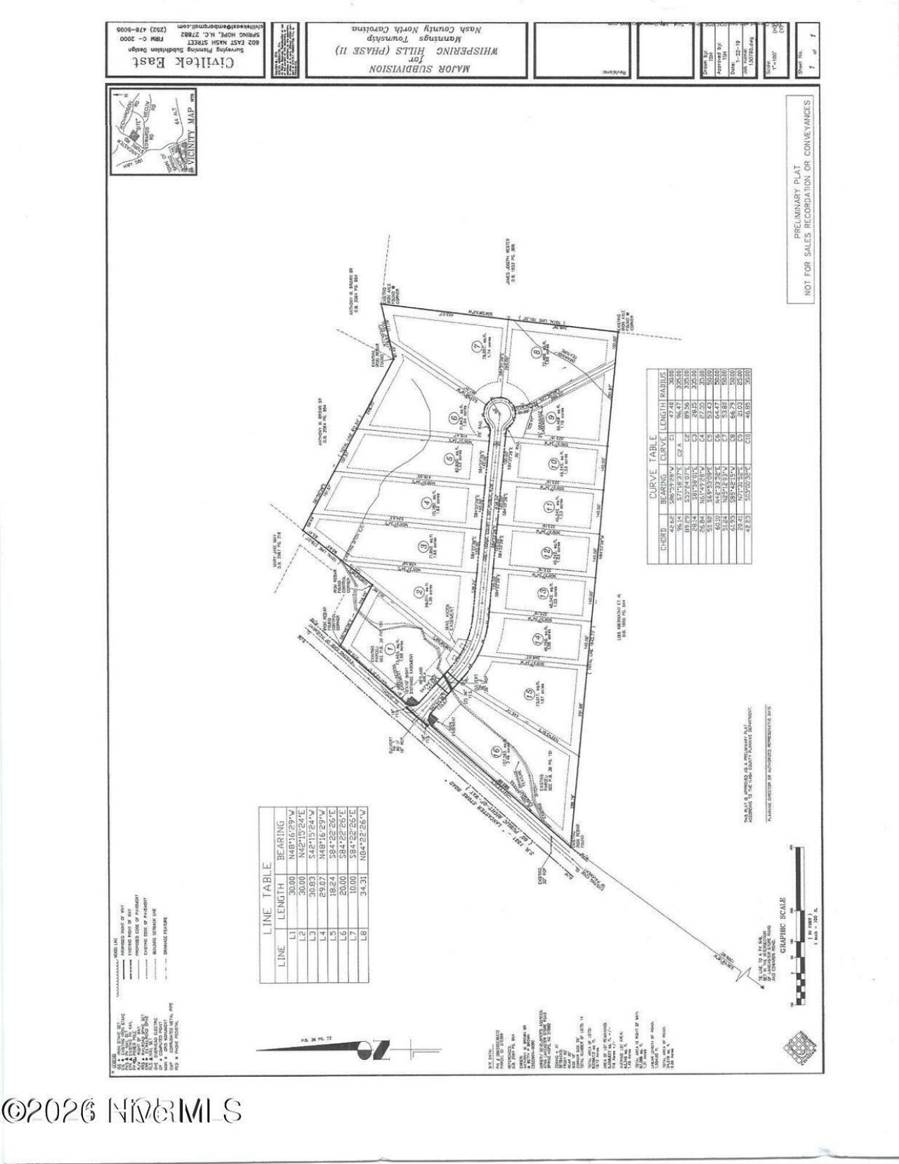
000 Tbd Lancaster Store Road Road, Spring Hope, NC 27882

$449,900
  • 000 Tbd Lancaster Store Road Road, Spring Hope, NC 27882 Main Photo

6 Total Photos [Click to View All]

Active
LOT SIZE 23.500 acres MLS#100568497
STATUSActive PROPERTY TYPELand - Lot/Land

Property Description

Don't miss your chance to own this ideally located tract in Nash County's Peachtree Community, with strong potential for a residential subdivision. The property is well-suited for a small-scale development project, with the capacity to yield approximately 15 residential lots. The tract is ideally positioned in a growing area of eastern North Carolina, benefiting from proximity to regional employment centers, transportation corridors, and expanding residential demand. The surrounding area features a mix of rural and low-density residential development, making it attractive for buyers seeking new construction homes on moderately sized lots.Please call agent to discuss what is needed for the final approval of proposed ''Whispering Hills'' subdivision.

000 Tbd Lancaster Store Road Road | MLS# 100568497

This land located at 000 Tbd Lancaster Store Road Road, Spring Hope, NC 27882 is currently listed for sale with an asking price of $449,900. The property has approximately 23.50 Acres. Search Spring Hope real estate on scott.century21thomas.com today.

Property Features

Property Type: Land - Lot/Land
Lot Size: 23.50 Acres

Feature Descriptions

Days on Site: 7
Parcel#: Parts Of: 310369/310371
Topography: Rolling, Wooded
Utilities: Electricity Available

Local Schools

High School: Southern Nash
Middle School: Southern Nash
Elementary School: Spring Hope

Listed By / Shown By

Listed By

Agency Name: Brent Bass & Associates

Shown By

Agent Name: Scott Mathews
Agent Phone: (843) 222-7082
Agency Title: CENTURY 21 Thomas

IDX logo

Estimate Your Payment

Estimated Payment

$ 1,132.50 per month $1,001.28 Principal & Interest $0.00 Property Tax (data not provided by mls) $131.22 Homeowner's Insurance

Change Payment Information

%
years/fixed
yearly
yearly (est.)
(Payments are an estimate and may vary by lender)
©2026 Thomas Real Estate, Incorporated. All rights reserved. CENTURY 21 ® and the CENTURY 21 Logo are registered service marks owned by Century 21 Real Estate LLC. Thomas Real Estate, Incorporated fully supports the principles of the Fair Housing Act and the Equal Opportunity Act. Each franchise is independently owned and operated. Any services or products provided by independently owned and operated franchisees are not provided by, affiliated with or related to Century 21 Real Estate LLC nor any of its affiliated companies. Disclaimer: All information deemed reliable but not guaranteed. All properties are subject to prior sale, change or withdrawal. Neither listing broker(s) or information provider(s) shall be responsible for any typographical errors, misinformation, misprints and shall be held totally harmless. Listing(s) information is provided for consumers personal, non-commercial use and may not be used for any purpose other than to identify prospective properties consumers may be interested in purchasing. Information on this site was last updated 04/28/2026. The listing information on this page last changed on 04/28/2026. The data relating to real estate for sale on this website comes in part from the Internet Data Exchange program of Delta Media Group MLS (last updated Tue 04/28/2026 10:36:49 AM EST) or CCAR MLS (last updated Tue 04/28/2026 10:31:50 AM EST) or HIVE MLS (last updated Tue 04/28/2026 10:29:43 AM EST). Real estate listings held by brokerage firms other than CENTURY 21 Thomas may be marked with the Internet Data Exchange logo and detailed information about those properties will include the name of the listing broker(s) when required by the MLS. All rights reserved.

MLS Licensed Data - Copyright 2018 NCRMLS. All rights reserved. North Carolina Regional Multiple Listing Service, (NCRMLS), provides content displayed here (“provided content”) on an “as is” basis and makes no representations or warranties regarding the provided content, including, but not limited to those of non-infringement, timeliness, accuracy, or completeness. Individuals and companies using information presented are responsible for verification and validation of information they utilize and present to their customers and clients. NCRMLS will not be liable for any damage or loss resulting from use of the provided content or the products available through Portals, IDX, VOW, and/or Syndication. Recipients of this information shall not resell, redistribute, reproduce, modify, or otherwise copy any portion thereof without the expressed written consent of NCRMLS.

Privacy Policy / DMCA Notice / ADA Accessibility

Login to My Homefinder

Pixel